SOLD RM6,021,522 - Industrial Land
Industrial Land Seksyen 6 Bandar Rinching Semenyih For Sale
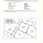
Industrial Land Seksyen 6 Bandar Rinching Semenyih details :
– Freehold
– Industrial Zoning
– Flat Land
– Square
– Rm78 persqft
– 1.77 arce (77199sqft)
Semenyih is a town and a mukim in Hulu Langat District in southeastern Selangor, Malaysia along the Kajang–Seremban road. It is 28 km southeast of downtown Kuala Lumpur and 8 km southeast of Kajang.
The surrounding area is hilly, the highest peak nearby is Bukit Arang, 560 m (1,840 ft) high. This makes the area home to numerous scenic waterfalls. A more popular tourist attraction in the town is the Ostrich Wonderland Show Farm. The town is becoming more accessible, with new highways (such as the Kajang–Seremban Highway and the Kajang SILK Highway ). New development such as the University of Nottingham Malaysia Campus, has contributed to the growth in population. The 15,100 people recorded in the 1991 census had grown to over 45,000 by 2000. This corresponds to an annual growth rate of 12.9%, compared with the national average of 2.66% over the same period.
Semenyih is mainly served by federal highway 1. Highway 31, traversing the Langat valley, starts here and connects to Bangi, Putrajaya (precinct 20), Dengkil and Banting.
Tolled expressways serving Semenyih include the Kajang-Seremban Expressway (LEKAS).
Kindly contact MOHD 0122237269 for details
and viewing
: Mohd – 0122237269
: Legacy Real Property Sdn Bhd
: mohd@legacyrealty.my
: www.legacyrealty.my
: www.hartanahhot.com
** EJEN HARTANAH BERDAFTAR DENGAN LEGACY REAL PROPERTY. AKTIF DI KAWASAN Industrial Land Seksyen 6 Bandar Rinching Semenyih DAN KAWASAN-KAWASAN BERHAMPIRAN**
Jika anda ingin menjual atau menyewakan hartanah, kami sedia memberi khidmat nasihat berkaitan proses penjualan / penyewaan hartanah bermula dari peringkat mencari pembeli, pembayaran deposit, proses pembiayaan pinjaman, proses guaman dan sebagainya.
Bagaimana cara pemilihan Ejen Hartanah sekiranya anda ingin mendapatkan khidmat mereka?
Pertama dan terutama, pastikan anda memilih ejen hartanah yang berdaftar dengan Lembaga Penilai, Pentaksir dan Ejen Hartanah (LPPEH). Senarai ejen hartanah berdaftar boleh di semak di website www.lppeh.gov.my
Seterusnya, cari ejen hartanah yang fokus di kawasan hartanah yang anda ingin jual/sewa. Ini akan membolehkan mereka bertindak dan bekerja dengan lebih efektif. Nasihat ejen hartanah yang fokus di kawasan hartanah anda biasanya lebih tepat dan bersesuaian dengan cara pemasaran, harga pasaran semasa, kepantasan mencari pembeli / penyewa yang berpotensi dan sebagainya.
Untuk melihat unit lain di Hulu Langat, klik di sini.
Untuk menyemak nilai pasaran semasa hartanah anda, klik di sini.
boleh hubungi saya :
0123792584

Email : mohd@legacyrealty.my
Fb : https://www.facebook.com/hartanahhot2015
Senarai hartanah yang telah dijual/sewa di Malaysia

